聯系人:王經理
銷售電話:13371051536
銷售QQ:1401548526
公司地址:山東省濰坊市高新區光電路155號光電產業加速器(一期)
13371051536

PRODUCT CENTER
聯系人:王經理
銷售電話:13371051536
銷售QQ:1401548526
公司地址:山東省濰坊市高新區光電路155號光電產業加速器(一期)
文章來源:土壤墑情監測儀 發布時間:2020-08-13 08:38:01 瀏覽次數:1458次
8月11日,記者從省農業農村廳獲悉,夏播尤其是入汛以來,我省大部土壤墑情適宜,對秋糧作物正常出苗發育較為有利,信陽、駐馬店等地部分地塊出現洪澇災害,但整體面積占比不大。我省對草地貪夜蛾防控有力,當前病蟲害發生程度輕于上年同期,秋糧長勢總體良好。
夏播期間,全省上下全力開展抗旱搶種和搶墑播種,基本實現應種盡種、適期播種,秋糧播種面積7600多萬畝。田間管理上,我省堅持“種子落地、管字上馬”,省農業農村廳組建了18個秋糧專家指導組,赴各地指導農民及時落實補種、化學除草、中耕、追肥等管理措施,做到早管精管細管。
7月下旬,我省多地出現強降雨天氣過程,尤其是豫南等地出現大到暴雨。省農業農村廳緊急印發通知,組織全省農業農村系統全力投入防汛救災工作,成立專家組赴受災地區,指導當地及時排除田間積水,努力把災害損失降到最低。
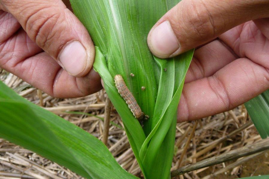
草地貪夜蛾是玉米、高粱等作物上的遷飛性重大害蟲。根據草地貪夜蛾的遷飛規律和區域為害特點,我省已建立淮河、沙河、黃河、豫冀界4條草地貪夜蛾監測阻截帶。截至8月4日,我省先后在信陽、南陽、駐馬店、周口、商丘、開封、三門峽等7市的26個縣(市、區)發現草地貪夜蛾幼蟲或成蟲,全省累計見蟲面積是去年同期的九分之一。發現蟲情后,各地迅速組織點殺點治和應急防控,及時遏制了草地貪夜蛾的蔓延,確保了玉米的正常生長。
文章轉載自央廣網

隨著人口的不斷增加,糧食和蔬菜的需求量也隨之增長,因此提高農業生產效率越來越受到大家的關注。雖然很多人都知道土壤是植物生長的重要條件之一,但是很少有人注意到土壤水分的重要性。土壤的水分對于植物的生長發育和產量的形成起著至關重要的作用。然而,土壤的水分狀況是不斷變化的,所以需要在合適的時間灌溉,保證農田的水分得當。這就需要借助先進的土壤水分傳感器。
FT-LORA 土壤墑情監測系統-風途科技 檢測項目: 土壤溫度 土壤水分 土壤鹽分 土壤PH …… 可選擇其他的項目指標。 可能涉及到的配件有:土壤溫度傳感器、土壤水分傳感器、土壤鹽分(
氣象土壤墑情監測系統
土壤墑情檢測儀運用于氣候、農牧業、地質學、自然環境等層面氣候科學研究。并合適于郊外科學研究實驗應。